宇部市船木 造成完了しました!









690.2~万円
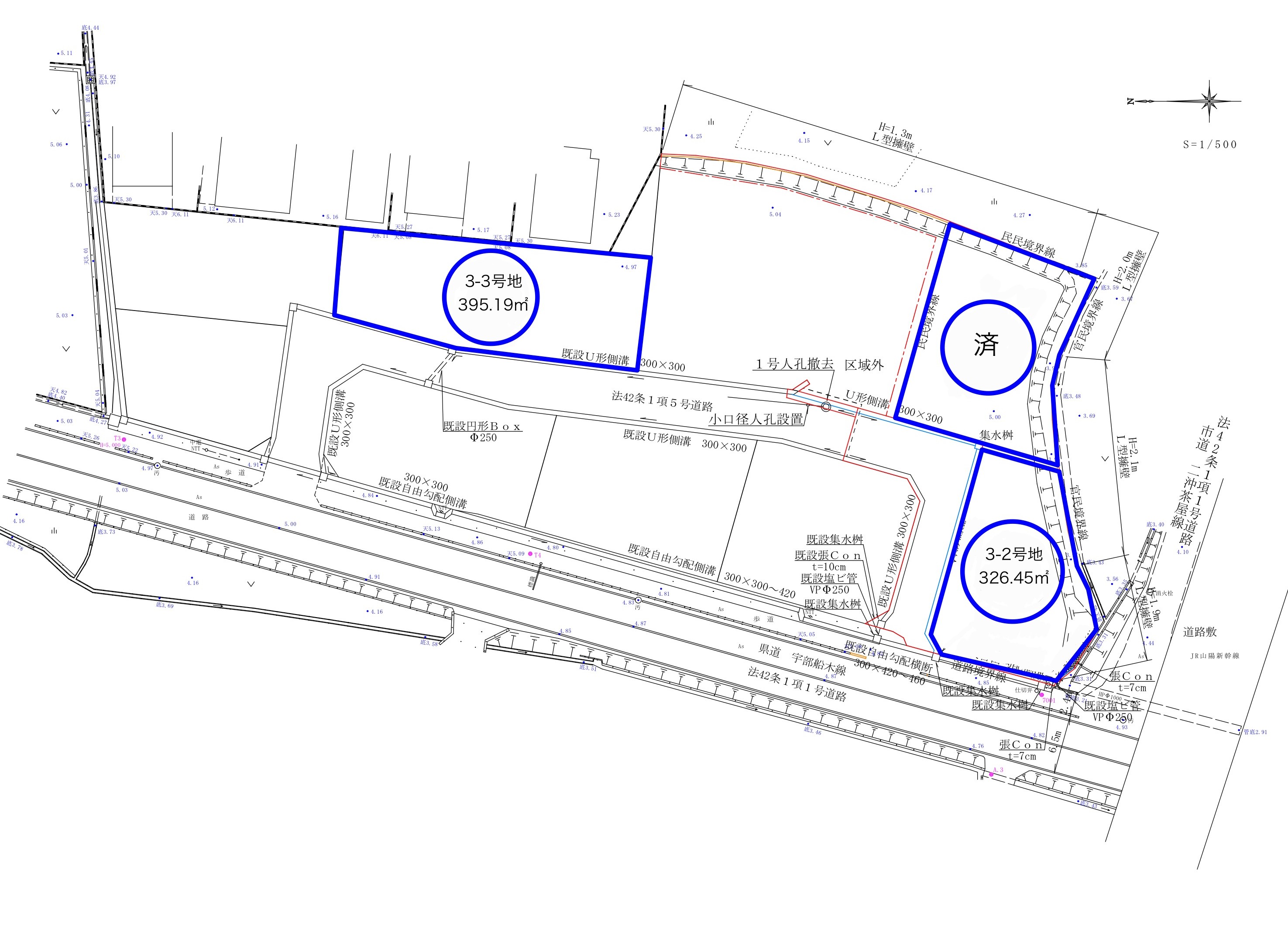
| 土地面積 | 326.45~㎡ |
|---|---|
| 所在地 | 宇部市大字船木 |
| 建ぺい率 | 70% |
| 容積率 | 200% |
| 建築条件 | 無し |
| 取引態様 | 媒介 ※手数料不要 |
| 坪単価 | 万円/坪 |
| 私道負担面積/ セットバック | 無し |
| 土地権利 | 所有権 |
| 接道状況 | 一方 |
| 都市計画 | 非線引区域 |
| 用途地域 | 無指定 |
| 地目/地勢 | 宅地・田・平坦 |
| 総区画数/ 販売区画数 | 3区画 |
| 国土法届出要否 | 不要 |
| その他法令上の制限 | ー |
| 現況 | ー |
| 引渡時期 | 2026年1月 |
| 引き渡し条件 | 更地 |
| 最適用途 | 住宅用途 |
| 取引条件の有効期限 | 2024yy |
| 取扱会社 | 有限会社フジ興産 山口県宇部市大字妻崎開作799-2 TEL 0836-45-0420 免許番号 山口県知事(5)第3040号 |
| 情報更新日 | 2024aa |
| 更新予定日 | 2024bb |
| 設備 | 下水 |
| 建物面積 | |
| 構造 | |
| 完成時期(築年数) | |
| 備考 | |
| Google Map |

