※ご成約頂きました! 厚南北2丁目に売土地(古屋付)が出ました!







330万円
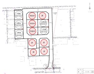
| 土地面積 | 166.07㎡ |
|---|---|
| 所在地 | 宇部市厚南北2丁目2170-88 |
| 建ぺい率 | 60% |
| 容積率 | 200% |
| 建築条件 | 無し |
| 取引態様 | 媒介 |
| 坪単価 | 6.6万円/坪 |
| 私道負担面積/ セットバック | 無し |
| 土地権利 | 所有権 |
| 接道状況 | |
| 都市計画 | 非線引区域 |
| 用途地域 | 第一種中高層住居専用地域 |
| 地目/地勢 | 宅地 |
| 総区画数/ 販売区画数 | 1区画 |
| 国土法届出要否 | 不要 |
| その他法令上の制限 | |
| 現況 | 古屋付 |
| 引渡時期 | |
| 引き渡し条件 | |
| 最適用途 | 住宅用地 |
| 取引条件の有効期限 | |
| 取扱会社 | 有限会社フジ興産 山口県宇部市大字妻崎開作799-2 TEL 0836-45-0420 免許番号 山口県知事(5)第3040号 |
| 情報更新日 | |
| 更新予定日 | |
| 設備 | ・上下水道 |
| 建物面積 | 46.62 |
| 構造 | 木造 |
| 完成時期(築年数) | 1972年3月 |
| 備考 | 現況渡しになります。増築部分があり、未登記になります。 |
| Google Map |

2024091800019394-1-e1757058783757-300x300.jpg)